表皮
|
角质形成细胞
角质形成细胞占表皮细胞总数的85% |
||
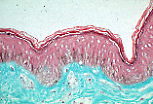
| A型角化复层扁平上皮 | ||
|
|
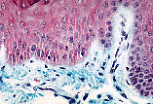
A型角化复层扁平上皮(掌部皮肤)的各层结构发育完善,易于识别。 | |
|
|
基底层 主要由柱状细胞构成,其基底面有微小的插入突起,有助于表皮与基膜的黏附。 | |
|
|
透射电镜(M.E.T.)下可清晰观察到角质形成细胞的基底突起。
角质形成细胞的侧面与相邻细胞紧密嵌合,这种结构增强了表皮的黏附性。 |
|
|
|
角质形成细胞离开基底层后开始成熟分化。
棘层 中的细胞呈多角形,嗜酸性,通过指状细胞突起相互嵌合。 |
|
|
|
薄切片(2微米厚)可清晰显示棘层的嵌合结构,其“齿状”部分由相邻角质形成细胞的突起构成。 这些突起处可见结节状增厚结构(比佐泽罗小体)。 | |
|
|
透射电镜下,比佐泽罗小体对应于富含桥粒和张力丝的区域。 | |
|
|
颗粒层 中的角质形成细胞核固缩,细胞质内充满透明角质颗粒(丝聚合蛋白原)。 | |
|
|
透射电镜观察颗粒层还可见:细胞膜增厚形成角化包膜,以及奥兰德小体。 | |
|
|
角质层 (A型角化上皮,掌跖区)由多层无核角质形成细胞堆叠而成, 细胞内充满角蛋白,构成防水的屏障结构。 | |
| B型角化复层扁平上皮 | ||
|
|
掌跖区以外的表皮(尤其是角质层)薄得多,角质层会解离形成絮状鳞屑。 | |
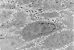
| 黑素细胞 | ||
|
|
基底层的黑素细胞表现为细胞质淡染、细胞核深染的细胞。 | |
|
|
B型角化复层扁平上皮中,黑素细胞分泌黑色素并通过胞吐作用传递给邻近的角质形成细胞, 保护角质形成细胞及表皮下结构免受紫外线(U.V.)损伤。 | |
|
|
组织切片经丰塔纳银染法处理后,可在角质形成细胞和黑素细胞中均观察到黑色素。 | |
|
|
黑素细胞具有极长的指状突起,穿插于角质形成细胞之间,丰塔纳染色可显示这些突起。 | |
|
|
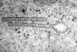
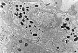
透射电镜下可见黑素细胞质内的黑素小体,这是高尔基复合体来源的结构, 黑色素的合成在此分多个阶段进行。 | |
|
|
高倍镜下可分辨黑素细胞的突起(富含黑素小体),这些突起穿插在角质形成细胞之间(可通过细胞质内的张力丝识别角质形成细胞)。
角质形成细胞也含有通过胞吐作用从黑素细胞获得的黑素小体。 |
|
| 梅克尔细胞 | ||
|
|
梅克尔细胞是位于基底层的淡染细胞。
可通过其凹陷的细胞核、以及下方真皮内 大量与之紧密相连的细小神经纤维 ,将其与黑素细胞区分;此外,梅克尔细胞在丰塔纳银染中呈阴性。 |
|
|
|
透射电镜显示梅克尔细胞质内含有大量 神经内分泌颗粒 。 | |
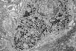
| 朗格汉斯细胞 | ||
|
|
朗格汉斯细胞是抗原呈递树突状细胞,位于棘层。
常规染色的组织切片中无法与邻近角质形成细胞区分,但可通过特殊的组化技术(如本图的ATP酶染色)或免疫组化技术在光镜(M.O.)下检测到, 此时可显示其星状(树突状)形态。 |
|
|
|
透射电镜下, 朗格汉斯细胞可通过凹陷的细胞核、淡染且无张力丝和黑素小体的细胞质识别。
其细胞膜与邻近角质形成细胞之间无细胞连接(桥粒)。 |
|
|
|
透射电镜下识别朗格汉斯细胞的最佳方法是:在细胞质内找到特征性的球拍状小体——伯贝克颗粒。 | |
| 朗格汉斯细胞的另一图像 | 在腭扁桃体表面上皮中观察到的朗格汉斯细胞 | |