|
|
| 回肠 | |
|
|
人体回肠壁具有消化管的基本四层结构,即黏膜层、黏膜下层、肌层和浆膜层。
黏膜皱襞(环形皱襞)和肠绒毛是扩大吸收表面积的结构。 |
|
|
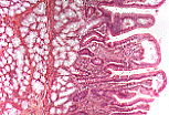
回肠黏膜的特征是具有突向管腔的肠绒毛。管状的李氏隐窝(Lieberkühn隐窝)从绒毛基底部延伸至黏膜肌层。固有层富含淋巴样成分。 |
| 回肠绒毛 | |
|
|
回肠绒毛的形态因动物种类和饮食结构而异。
人类和食肉动物的绒毛呈指状。 本图为哺乳期幼鼠的回肠标本。 |
|
|
成年大鼠以纤维类食物为主食,其绒毛变得更粗、短钝,呈叶状。 |
|
|
每个绒毛都由结缔组织轴心和表面覆盖的单层柱状上皮构成,上皮包含三种细胞:吸收细胞(具有纹状缘的柱状细胞,负责吸收功能)、杯状细胞(分泌黏液)和弥散内分泌系统细胞。
淋巴细胞浸润于上皮内,尤其可见于基膜上方,嵌插在上皮细胞的基底部之间。 |
|
|
吸收细胞为柱状细胞,其游离面(顶端)具有由微绒毛构成的纹状缘。
光镜(M.O.)下,纹状缘表现为顶端的粉红色带状结构。 本图中可识别出微绒毛的锚定区域——终末网。 |
|
|
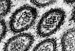
纹状缘的微绒毛仅能在电镜(M.E.)下清晰分辨。
微绒毛可使单个吸收细胞的吸收表面积增加20至50倍。 |
|
|
微绒毛是细胞膜形成的指状突起,其轴心为肌动蛋白丝构成的细胞骨架。这些肌动蛋白丝锚定于吸收细胞顶端胞质的终末网区域,该区域聚集了致密的血影蛋白和中间丝网络。 |
|
|
这张小肠微绒毛的透射电镜(C.T.)照片中,可观察到细胞膜和肌动蛋白丝。
每个微绒毛周围的模糊边缘是细胞衣(糖萼),小肠的细胞衣尤为发达,其中含有多种消化酶。 |
|
|
细胞衣可通过过碘酸-希夫反应(P.A.S.)组织化学染色在光镜下显示。
P.A.S.染色还可显示杯状细胞内充满的黏液(黏液具有润滑肠壁的作用)。 基膜也可被P.A.S.染色显示。 |
|
|
三色染色法下,杯状细胞因黏液未被该染色显示而呈现空泡状。 |
|
|
杯状细胞的黏液在合成装置(粗面内质网-高尔基复合体)中形成,以电子致密的球形结构形式聚集于细胞顶端,随后释放。 |
|
|
黏液以局浆分泌的方式释放到器官管腔内,沿上皮表面流动。 |
|
|
杯状细胞分泌的黏液可在扫描电镜(M.E.B.)下观察到。 |
|
|
吸收细胞和杯状细胞在顶端通过闭锁带紧密连接在一起。 |
|
|
当上皮沿顶端水平切向切片时,闭锁带易于观察,可环绕整个细胞,呈现特征性的“蜂巢状”外观。 |
|
|
闭锁带即连接复合体,依次由紧密连接(闭锁小带)、黏着小带和桥粒组成,部分还伴有缝隙连接。 |
|
|
开口于绒毛基底部的李氏隐窝为管状直腺,管腔狭窄,上皮包含四种细胞:杯状细胞(数量多于绒毛处)、少量吸收细胞、
弥散内分泌系统细胞
和潘氏细胞。
潘氏细胞位于隐窝底部,特征是顶端有大量嗜酸性分泌颗粒(胞吐前聚集),其具体功能仍有争议,目前认为主要具有抗菌作用(分泌溶菌酶)。 |
|
|
李氏隐窝内可见大量有丝分裂象,主要集中于下1/3段。这一增殖区产生的细胞既补充隐窝上皮,也补充绒毛上皮。 |
|
|
小肠上皮细胞的更新速度极快(2至3天)。
增殖区产生的细胞迁移至绒毛顶端,在此凋亡、脱落。 |
|
|
小肠固有层的特征是富含淋巴细胞,且具有丰富的血液和淋巴管网。
毛细血管为有孔型
。
吸收细胞吸收的糖类和蛋白质在此处进入血液循环,而脂质则由盲端的中央乳糜管(淋巴管)引流。 |
|
|
扫描电镜(M.E.B.)下的这一标本清晰显示了绒毛固有层
血管网
的复杂性。
本图通过树脂灌注法制作,可形成血管的铸型标本。 |
|
|
绒毛轴心内还有来自黏膜肌层的细平滑肌束,即布鲁克肌(Brücke肌)。 |
|
|
这张结缔组织轴心分离的标本为人工假象,通常在取材至固定的间隔时间过长时出现。 |
| 十二指肠 | |
|
|
十二指肠是小肠的起始段,人类十二指肠的特征是具有短、钝、叶状的绒毛,且黏膜层和黏膜下层存在分支的管泡状腺——布伦纳腺(Brunner腺)。 |
|
|
布伦纳腺由闭锁型黏液细胞构成,开口于李氏隐窝底部,向管腔分泌碱性黏液,以保护十二指肠壁免受胃内容物的酸性侵蚀。 |
| 小肠与黏膜相关淋巴组织(M.A.L.T.) | |
|
|
派尔集合淋巴结位于小肠末端(回盲部附近),此处淋巴小结数量极多,浸润黏膜层和黏膜下层,导致绒毛形态变形,仅在集合淋巴结两侧保留正常绒毛。 |
|
|
小肠壁常被淋巴样结构浸润,这些结构或呈弥散分布,或形成具有明确生发中心、套区和边缘区的完整淋巴小结。这些结构均属于 黏膜相关淋巴组织(M.A.L.T.) 。 |