角化复层扁平被覆上皮(表皮)由四种细胞构成:角质形成细胞、黑素细胞、梅克尔细胞和朗格汉斯细胞。后两种细胞将在组织学专业课程中介绍。
角质形成细胞是表皮的主要细胞类型,其从表皮基底层向表层经历一系列分化过程。这一分化过程改变了角质形成细胞的形态,并形成四层结构:基底层、棘层、颗粒层和角质层。
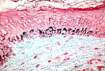
当角质层较薄时,该角化复层扁平被覆上皮被称为B类(薄型):这是覆盖人体全身(手掌和足底除外)的表皮类型。
|
|
|
B类角化复层扁平被覆上皮具有四层结构。
贴附于基膜的基底层(生发层)由一层嗜碱性的立方形或柱状细胞构成。该层含有干细胞,通过有丝分裂实现表皮的持续更新。
棘层包含数层体积较大的多角形细胞,细胞核呈圆形,细胞之间通过细胞间桥相互锚定。
颗粒层包含数层充满嗜碱性颗粒(透明角质颗粒)的细胞。这些细胞逐渐扁平,细胞核发生固缩(染色质浓缩)。
角质层包含数层扁平、完全角化、死亡且无核的细胞。
|
|
|
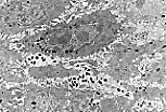
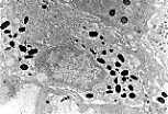
基底层中,透明细胞规律地穿插于角质形成细胞之间。这些细胞包括参与触觉感知的梅克尔细胞,以及合成黑色素并通过胞吐作用将黑色素转移给角质形成细胞的黑素细胞(保护细胞免受紫外线的致突变作用)。光镜下难以区分这两种细胞。
|
|
|
高色素沉着表皮:仅有基底层和棘层深层的角质形成细胞含有黑色素。
|
|
|
丰塔纳染色(银染法,利用黑色素的银还原特性显示黑色素)可在同一份标本上确认所观察到色素的性质。
|
|
|
对黑色素含量较低的表皮进行丰塔纳染色,可见黑色素在角质形成细胞中呈典型的“帽状”分布于细胞核上方。黑色素在基底层合成,随后在角质形成细胞内被逐步降解。
|
|
扫描电镜图像显示,黑素细胞的胞体突出于表皮基底层下方。胞体发出的胞质突起(树突)伸入表皮的角质形成细胞之间。
|
|
透射电镜下,黑素细胞的胞体电子密度低于富含角蛋白中间丝的相邻角质形成细胞胞质。黑素细胞胞体内含有膜包绕的卵圆形致密颗粒(黑素小体),其内含有黑色素。
|
|
黑素小体沿细胞骨架从胞体向树突远端移动,树突伸入棘层的角质形成细胞之间。角质形成细胞内也可见到通过胞吐作用转移而来的黑素小体。
黑素细胞的其他图像
|